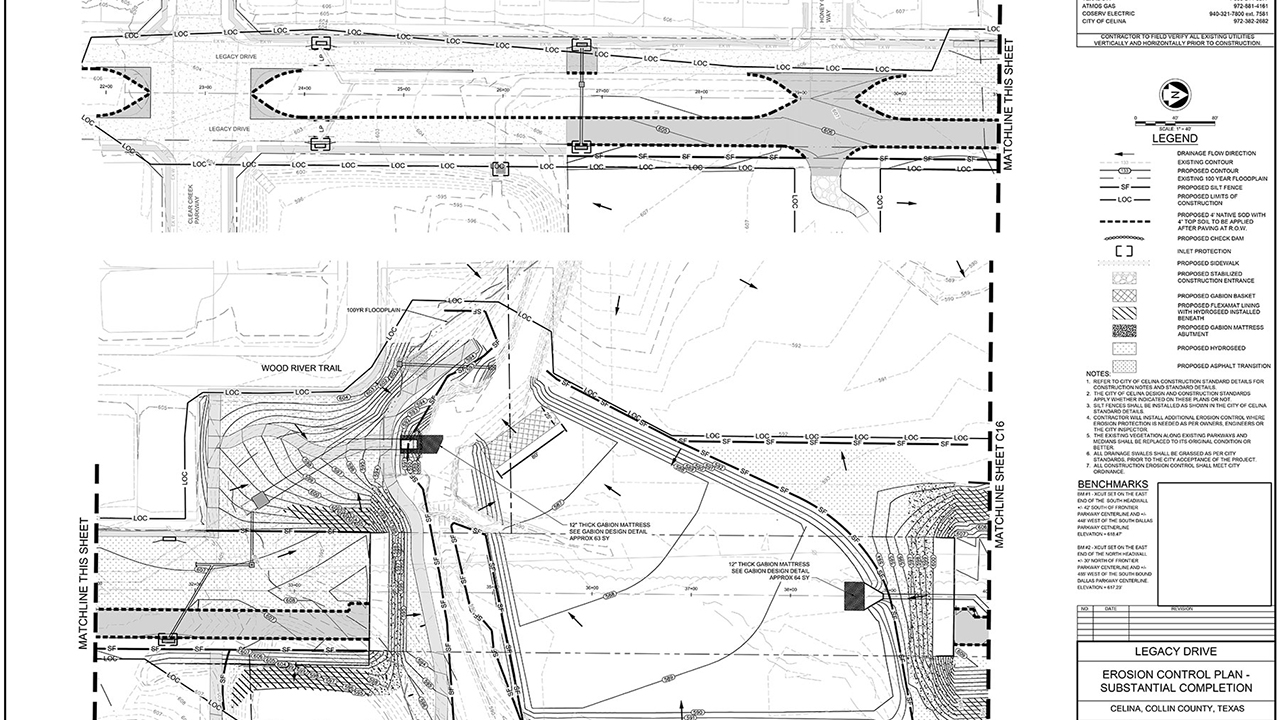
Legacy Drive Improvements Honey Creek Way to Carey Road

Location
Celina, Texas
Client
City of Celina
Scope

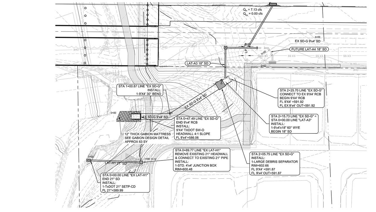
3,250 LF of ultimate 6-lane major arterial, including intersection, H&H modeling/study of floodplain to size bridge, and permitting approval.

Roles
  • Antiquities Permits Coordinated through the Texas Historical Commission
  • Major Arterial with Intersection
  • H&H Modeling/Study for Bridge Crossing at Doe Branch
  • USCE NW Permit 14
  • FEMA CLOMR
Join our talented team.
Partner with us on your next project.
Westwood Footer Image Westwood Footer Image